By

CALL
TOUR PROPERTY
×

9 Rogers Road in Brampton for sale

Asking price
$795,000
Estimate (Mar 02)
$783,019
MLS #:
W12836462
Type:
Detached, Bungalow
Approx. SQFT:
700-1100
Basement:
Finished, Sep Entrance
2+1 2+1
44.73 x 116 ft lot
PROPERTY HISTORY
SIGN IN REQUIRED
List Date List Price Last Status Sold Date Sold Price Days On Market
0000-00-00 $00000 Exp N/A N/A N/A
0000-00-00 $00000 Ter N/A N/A N/A
0000-00-00 $00000 Lsd Apr 02, 2025 $2,500
0000-00-00 $00000 Sld Feb 15, 2022 $1,208,000

Listed by Right At Home Realty.

9 Rogers Road is a Detached, Bungalow and is currently for Sale @ $795,000. Taxes in 2026 were $4,742.00.

More homes for sale under 800k in Brampton

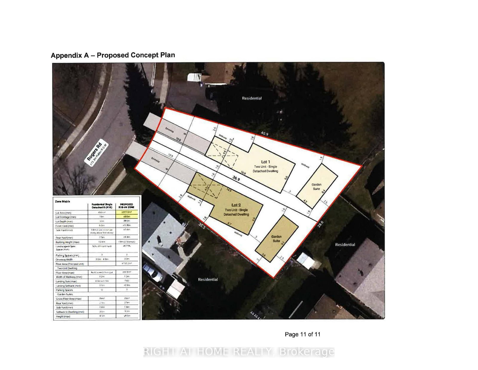
move-in ready, new paint on main floor; Large shed and separate workshop, Basement windows above grade. The Bungalow on 9 Rogers Road has 2 bedrooms, 2 bathrooms, and is located on a 116 x 44.73 ft lot in the community of Brampton West . Sold Under Power Of Sale Therefore As Is/Where Is Without Any Warranties From The Seller. However - attention builders and contractors - this is a large lot, potential for severance (severance process started already, which has been approved with a possibility of building two homes with garden suites for additional rental income - see attached proposal for severance in one of the pictures. Or... continue using it AS IS (single family home on a large lot with big mature trees). NOTE: basement has a separate hydro meter

The address 9 Rogers Road was listed for sale (MLS# W12836462) on Monday, March 02, 2026.

WHAT'S YOUR HOME WORTH?

Click here to get an instant estimate and track its value over time.

  • Date Listed: Monday, March 02, 2026
  • Listing Brokerage: Right At Home Realty - Disclaimer: The information contained in this listing has not been verified by Right At Home Realty and should be verified by the buyer.
  • City: Brampton

    More 2 bedrooms homes for sale in Brampton

  • Neighbourhood: Brampton West
  • Major Intersection: Main St. N - south of Williams Pkwy
  • Full Address: 9 Rogers Road, Brampton, L6X 1L7, Canada, ON, Canada
  • Living Room: Combined W/Dining, Laminate
  • Kitchen: Laminate, Eat-In Kitchen
  • Living Room: Laminate, Above Grade Window
  • Kitchen: Ceramic Floor
  • Amenities:
  • Taxes: $4,742.00 (2026)
Br11 x 10 ft110 sq ft
2nd Br10 x 9 ft90 sq ft
Living15 x 10 ft150 sq ft
Kitchen13 x 10 ft130 sq ft
Pantry8 x 4 ft32 sq ft
3rd Br10 x 10 ft100 sq ft
Living16 x 9 ft144 sq ft
Kitchen17 x 7 ft119 sq ft

Recently sold comparables in Brampton West

Similar homes for sale

WHAT'S YOUR HOME WORTH?

Click here to get an instant estimate and track its value over time.